この施術について
顔の皮膚画像解析カウンセリングシステム
カラー写真とUV写真の撮影ができ、「シミ」「シワ」「毛穴」「色ムラ」「ポルフィリン」「隠れジミ」「メラニンインデックス」「ヘモグロビンインデックス」の解析ができます。3次元ポジションマッチング機能と同一照明の効果で、撮影ポジションのずれによる解析誤差や、前後写真の色調の違いを防止し、圧倒的な再現性を実現します。

特徴
・圧倒的な再現性
①前後写真の3次元的ポジションマッチング
撮影ポジションのずれによる解析誤差を防止。
②常に一定の照明で撮影
・前後写真の色調の違いを防止
・一台で「カラー写真」と「UV写真」の撮影・解析ができます。
・美容皮膚領域に便利な顔の皮膚画像解析システムです。
・レーザー治療の効果把握や、患者様とのコミュニケーションツールとして効果的です。
・P&G社開発ソフトを基にカラー写真から「シミ」「シワ」「毛穴」「色ムラ」、UV写真撮影から「ポルフィリン」「かくれジミ(シミ予備群)」の解析ができます。
・豊富なデータどりに裏打ちされた同年代での平均値との比較ができます。男性のデータも追加になりました。(P&G社の測定結果をデータベース化)
・解析したい部位(Mask)を自由に設定することができ、2回目以降、同じ部位で解析できます。
・横向きで撮影するため、正面画像では欠けてしまっていた頬のサイド部分の解析が可能です。
・左半面、正面、右半面と連続撮影ができるようになりました。
・操作が簡単で、撮影時間も短く、すぐに解析結果が出ます。
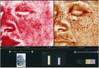
メラニン・ヘモグロビンインデックス画像解析機能
皮膚色を構成している2つの代表的な要素である「メラニン」「ヘモグロビン」をそれぞれ分離して画像化します。 メラニン、ヘモグロビンの改善度合いが測定できるため、外用剤塗布前後の評価の指標等がより正確に出来るようになりました。 ※赤ら顔、ニキビ、色素沈着などの評価の指標に。
解析結果
例えば「シミ」の場合、シミの数とMask範囲指定した中での%表示、また光源が一定で、外光の影響を受けず、同年代のMedian Scoreとの比較で表示されます。UV解析の場合は、「表面化しているシミ」と「かくれジミ」の数が表示されます。かくれジミ(かくれジミ予備軍)を把握することが出来る為、シミが表面化する前にケアする事が出来ます。
おすすめな方
- 肌の分析をしたい方
- 自分に合った肌治療を知りたい方
施術の流れ
-
01
解析
肌の状態を解析します。
-
02
診断結果
結果を元に、自分の肌の状態に合った適切な治療をご提案します。